Herengracht 223-225
Klik op een foto voor een grote afbeelding en meer info.
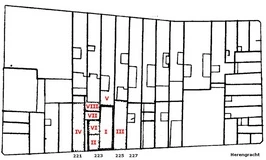
plattegrond
225
223-225

Naam: ’t Schaepscheeren
Adres: Herengracht 223
Architect: -; -; -; -; Jac.Duncker
Bouwjaar: 1593; 1620; voor 1756; 1848; 1918
Opdracht: -; Jan Macaré; fam.Linquet; A.M.M.Kolff; A.F.W.Daarnhouwer

Al in 1593 staat er bebouwing langs dit stukje van de Herengracht (dan nog Nieuwezijds Achtergracht), die overigens nog maar half zo breed is als na de Eerste Uitleg. Op 4 maart van dat jaar wordt een woonhuis verkocht. De kwijtschelding meldt: ‘Dirck ‘Ihonisz. gelijede verkoft te hebben aan Jan Segersz. garenkoper, Een huys ende Erve (II) binnen de nieuwe fortificatie in ‘t parck van de letter F, aen de Achterburghwal belend Joost Meynert aen de noordzijde (IV) ende Balthazar Appelman, out Burgermeester, aen de zuidzijde (I), streckende voor van de straet tot achter aan den erve van Rijck de Houtzager (VI). De coper magh gebruyken de gangh aen de noortzijde.’ (Dirck ‘Ihonisz. verklaart verkocht te hebben aan Jan Segersz. garenkoper, een huis en erf (II) binnen de nieuwe fortificatie in ‘t park met letter F, aan de Herengracht begrensd door Joost Meynert aan de noordzijde (IV) en Balthazar Appelman, oud-burgermeester, aan de zuidzijde (I), strekkende van de straat tot achter aan het erf van Rijck de Houtzager (VI). De koper mag gebruik maken van de gang aan de noordzijde.’)
Drie jaar later verkoopt Jan Segersz. het huis en erf aan Trijn Jansz., weduwe van Meester Wouter, chirurgijn. (Is deze Meester Wouter dezelfde als ‘Meester Wouter de Barbier’ (=chirurgijn), later ‘Meester Wouter Jansz in de Badtstoef’ genoemd die in 1559 woonde aan de Kloveniersburgwal 38?).

caspar philips

Van pakhuis ‘de Appelboom’ (I) wordt vermoed dat Balthazar Simonsz. Appelman dit heeft laten bouwen en het, in overeenstemming met zijn familienaam ‘de Appelboom’ heeft genoemd. Balthazar was in 1590, 1593 en 1595 en in 1600 nogmaals burgemeester van Amsterdam. Hij was zuivelkoper en woonde in de Kalverstraat ‘In de groene Kaes’.
Met het begin van de Eerste Uitleg wisselden verschillende kleine percelen snel van eigenaar om binnen enkele jaren in één hand te zijn samengebracht. Schipper Theewis Israëls verkoopt in 1612 aan Gerrit Jansz.Turfdrager een huis en erf aan de steeg (VI en VII), begrenst door Aert Adriaensz. aan de oostzijde (VIII) en Wouter Wouters aan de westkant (II).
Emanuel van Basserode verkoopt in 1619 aan Jan Macaré een pakhuis en erf (I) op de Herengracht, achter het huis van Van Basserode, genaamd ‘d’Appelboom’. Aan de zuidzijde is eigenaar Corn. Pietersz. Cater (III) en Trijn Jans is dat aan de noordzijde (II). Van Basserode heeft het eigendom van het pakhuis kennelijk overgenomen van de Erven Appelman.
Ook nog in 1619 verwerft Jan Macaré het huis van Wynant Wouters en Clara Wouters, bijgestaan door Wessel Jansz. haar man en voogd, staande buiten de Gasthuismolenpoort op de Herengracht (II). Het wordt aan de noordzijde begrensd door een erf van Hans Hunger (IV) en door percelen van Jan Macaré aan de zuidzijde, strekkende van de straat tot achter Ghijsbert Jansz. (VI).
Het is begin 1620 als Gerrit Jansz. Turffdrager een woning en erf aan de steeg (VI en VII), begrensd door Joost Willemsz. aan de oostzijde (VIII) en Macaré aan de westzijde (II) verkoopt aan Jan Macaré.
Vervolgens verkoopt Joost Willemsz. zijn erf (VIII) aan Jan Macaré. Dit erf wordt begrensd door Jasper Jansz. IJpelaer aan de oostzijde (IV). Jan Macaré heeft dus binnen het jaar, vier aaneen gebouwde percelen I, II, V, VI en VII, tot zijn eigendom gemaakt. Alles wijst er op dat Jan Macaré kort hierna de vier percelen heeft samengevoegd tot een koopmanshuis dat hier tot 1918 ongeveer in die vorm heeft bestaan. Macaré was wolhandelaar en we mogen veronderstellen dat hij de naam ‘het Schaepscheeren’ heeft gegeven. Deze naam bleef tot ca. 1850 in gebruik. Het gemeenschappelijke steegje was kennelijk van de gracht afgesloten geweest door een poort, dat bij de nieuwbouw was verdwenen. In 1623 werd de poort in ere hersteld met de bemerking dat een ieder die schade aan de poort toebracht deze ook moest laten herstellen.
Al in 1629 verkoopt Jan Macaré het huis. De nieuwe eigenaar van ‘het Schaepscheeren’ werd Johan Gansneb (Jan) Tengnagel (1584-1641). Buren zijn dan Corn. Pietersz. Cater aan de zuidzijde (III) en de erfgenamen van Hans Hunger aan de noordzijde (IV) met een gemeenschappelijke gang, vanaf de straat, tot de huizen en erven van Jasper van IJpelaer (IV) en Emanuel van Basserode (VIII).

schutterijstuk

Jan Tengnagel (1584-1631), met een loopbaan in de politiek en als substituut-schout, was tevens kunstschilder. Hij maakte in 1608 een reis naar Rome. Dat is in de themakeuze en stoffering van zijn bescheiden oeuvre duidelijk te merken. Volgens de bronnen schilderde hij imaginaire landschappen (niet teruggevonden) en historiestukken. Als lid van een schutterscompagnie kon hij zichzelf afbeelden op een stuk uit 1613 ‘Maaltijd van de 17 schutters van de Handboogdoelen onder kapitein Geurt van Beuningen en luitenant Pieter Hoeffjzer’. Hij is bestuurder van het schildersgilde Sint Lucas.
Jan was gehuwd met Meijnsje Simonsdr Pynas, zuster van de schilders Jan en Jacob Pynas. Bij zijn overlijden liet hij ook een huis aan het Singel na met twee achterliggende huizen. Verder obligaties in de VOC en de Staten van Holland, huisraad, goud en zilver, schilderijen, enz. Het kwam ten goede aan zijn 3 zonen. In juli 1641 maakte Meijnsje Simonsdr Pynas voor notaris Gerrit Scooren haar testament. Kort hierna overleed zij. In het testament had zij haar drie zonen Mattheus, Jan en Symon, als enige erfgenamen gesteld, en bij iemands overlijden de wettige kinderen bij representatie, met de wens, dat de ene helft van haar goederen, door haar zonen van haar te erven, subject fidei-commis zullen zijn. Met andere woorden overleed één van de zoons dan ging de erfenis over naar de andere zoon(s).
Uit het huwelijk van Jan werden twee zoons geboren, Johan en Michiel, die in 1705 respectievelijk advocaat te Amsterdam en burgemeester van Naarden waren. Simon was predikant te Uitdam en gehuwd met Cornelia Adriaans. Uit zijn huwelijk sproten vijf kinderen: Nicolaas, Mattheus, Adriaan, Simon (Schout van Sloten en Sloterdijk), en Cornelia. Nicolaas en Adriaan deden het hun toegewezen gedeelte aan hun moeder over.

mattheus tengnagel

Mattheus Gansneb Tengnagel (1613-1652) is ongehuwd overleden. Mattheuss kreeg zijn erfdeel niet uitgekeerd omdat zijn moeder hem wegens ‘dissolut ende qualijck leven’ onder curatele van de Weeskamer had laten plaatsen. Hij werd namelijk vervolgd voor beledigende gedichten die hij misschien niet heeft geschreven en kreeg hiervoor huisarrest. Hij had een reputatie als vechtersbaas, toneelschrijver, schimpdichter, doordraaier en roddelpoëet. Hij legde het Amsterdamse volksleven vast in scabreuze verzen en stelde eerbare burgers grof aan de kaak. De verzen waren gebundeld in boekjes als Amsterdamsche Avondtwandeling (1633) en Amsterdamsche sonneschijn (1639). Voor zijn inspiratie zou hij bordelen bezoeken in de nabijgelegen Gasthuismolensteeg. Hier had ook de drukker en boekhandelaar Joost Hartgers zijn bedrijf . Joost en Mattheus werden beide gearresteerd. Tengnagel kreeg een boete en drie maanden huisarrest.
Nadat het huis bijna een eeuw in bezit is geweest van de familie Tengnagel en zij het waarschijnlijk ook bewoond hebben wordt het huis in 1711 verkocht voor fl. 12.500,- à contant met de bedinging dat levering in mei 1712 plaats zal hebben. Tot dan hebben Cornelia Adriaans en haar dochter Cornelia tijd wat anders te vinden. Ook heeft de koper bedongen om in het voorjaar een comptoir te mogen maken en dan de keus te hebben of hij het behangsel op taxatie wil overnemen, of het door de verkoopster laten weghalen.
Koper in 1712 is de koopman Hayo Garlich (-1718). Bij zijn overlijden gaat het huis over bij legaat aan zijn neef en oomzegger Diederich Garlich gehuwd met Johanna Maria Pechlin en in 1723 met Johanna van der Aa. Ook Diederich Garlich hield het huis maar enkele jaren in bezit en verkocht het in 1727 aan Hendrik Linquet.
Hendrik Linquet betaalt fl. 24.000,- en neemt voor fl. 4.000,- behangsels, spiegels in de schoorstenen en muren, kachels en fornuizen in de muur staande, over. In deze acte wordt het huis aangeduid als ‘genaamt het Schaapscheren over het Blauwhuys’ (=Herengracht 196). Bij de verkoop werd bedongen, dat Diederich Garlich het tot mei 1729 zal blijven bewonen.
Na deze interval van 17 jaar zal het huis de komende 78 jaar weer in handen zijn van één familie, maar zij zullen het voor zover bekend niet bewonen. Hendrik Linquet (-1747) is achtereenvolgens getrouwd met Cornelia Villers, in 1728 met Maria Ernst van Bassen (-1730) eerder getrouwd met Barent Hidding, en in 1731 met Maria van Hierden eerder getrouwd met Pieter Maas.
Hendrik Linquet benoemde in 1735 voor notaris Philippe de Marolles tot zijne erfgenamen zijn zoon Willem Lambert Linquet (-1735?) in 1720 getrouwd met Susanna Colonius (1695-1771). Uit dit huwelijk werden twee kinderen geboren: Cornelia (1723-1801) die in 1747 huwde met Joost Zaal Junior, Onder-Equipagemeester van de Admiraliteit. Uit dit huwelijk werd een zoon Joost (senior) geboren. Hendrik (1725-1761) hertrouwt in 1748 met Aletta Wilhelmina Das (-1752). Hendrik benoemt zijn moeder Susanna in 1761 tot universeel erfgenaam en komt kort daarna te overlijden. Enkele weken later vermaakt Susanna Colonius bij testamentaire beschikking het huis aan haar enigste dochter en universele erfgename Cornelia Linquet en bij overlijden aan haar wettige nakomelingen.
De laatste bezitter was een aangetrouwde kleinzoon van Linquet, Joost Zaal Senior (-1805). Cornelia Linquet laat in 1800 als executeurs en beredderaars aanstellen Coenraad Brandligt, koopman en Hendrik Westhoff, makelaar. Na haar overlijden worden zij ook aangewezen als curatoren voor haar zoon Joost Zaal Senior. Het huis aan de Herengracht werd verhuurd; in 1803 onder anderen aan mr.P.J.van Naamen, voor twee jaar. Daags voor het overlijden van Joost Zaal Senior werden als administrateurs van zijn fidei-commissaire nalatenschap aangesteld zijn zoon Joost Zaal Junior en Hendrik Westhoff, met toevoeging van Gerrit Vos, als makelaar.

gevels

In de tijd dat het huis eigendom is van de familie Linquet wordt het omstreeks 1756 aangepast. Het is een bijna 11 meter breed koopmanshuis met stoep. De rechte kroonlijst met drie consoles en een sierlijke balustrade in Lodewijk XV-stijl wordt nu aangebracht.
In 1805 komt het via een openbare veiling voor fl. 11.000,- in handen van Robert Daniël Crommelin (1741-1808) die hier woont tot zijn overlijden. Zijn dochter Elisabeth Maria Crommelin (1772-1855), getrouwd met predikant Johannes Leonardus Wolterbeek (1763-1845), erft het huis.
Ds.Wolterbeek blijkt het huis voor de familie Crommelin in beheer te hebben genomen. In april 1808 werd het door hem voor 4 jaar verhuurd aan zijn collega ds.Bartout van der Feen voor fl. 300,- ‘s jaars, ingaande op 1 mei. Op 25 oktober werd het perceel in volle en vrije eigendom toebedeeld aan zijn echtgenote Elizabeth Maria Crommelin. Elizabeth was buiten gemeenschap van goederen gehuwd en hield het huis nog twintig jaar in bezit terwijl het werd verhuurd voor fl. 1000,- per jaar.
In februari 1828 werd het pand geveild in het Oude Zijds Heeren Logement (Grimburgwal). Hoogste bieder en provisionele koper was Abraham Jacob Broes, een makelaar wonend op de Prinsengracht bij de Vijzelstraat, met fl. 7900,-. Makelaar Jan Jacobus Arends laat het afmijnen op fl. 8.000,- en sleept het daarmee in de wacht voor zijn opdrachtgever, de koopman Dirk Jan Brouwer (1761-1842). Deze woonde al op de Herengracht bij de Hartenstraat. De volgende veertien jaar bleef het, tot zijn overlijden, in zijn bezit. Dirk woonde toen al in Velp en het is de vraag of hij hier ooit gewoond heeft. Dirk Jan Brouwer is omstreeks 1799 getrouwd met Anna Maria van Zuijlekom. Ze krijgen drie kinderen waarvan alleen de oudste nog in leven is bij het overlijden van Dirk. Een van de overleden kinderen is Frederica Maria Brouwer (1802-1830) in 1828 getrouwd met Dirk Hendrik Kolff. Uit dit huwelijk is een dochter Anna Maria Margaretha Kolff (1830-1855) geboren waarvoor de vader als voogd optrad.
In 1843 werd de nalatenschap verdeeld, waarbij bij onderlinge loting het huis ten deel viel aan de minderjarige Anna Maria Margaretha Kolff (1830-1855). De jonge eigenaresse huwde in 1853 met Carl Dirk Lucas van Oven (1825-1869), koopman te Hamburg, uit welk huwelijk twee kinderen werden geboren, Adriënne Wilhelmina Susanna van Oven en Dirk Hendrik Cornelius van Oven.
De laatste eigenaren waren geen bewoners en hielden het pand niet geheel in goede staat wat in 1848 resulteerde in een noodzakelijke vernieuwing van de balustrade naar een eenvoudiger vorm. Gelijktijdig werd ook de deurpartij veranderd.
Anna Maria Margaretha van Oven-Kolff liet in 1853 haar beide kinderen als erfgenamen stellen. Als gevolmachtigde werd aangewezen Jacob van Oosterwijk Bruijn, commissionair, wonend aan de Herengracht bij de Driekoningstraat. Hij verkocht het huis in 1855 voor fl. 12.000,- uit de hand aan Johannes Jurjans (1812-1887), koopman, wonende op het Singel 258 en in 1837 getrouwd met Anna Johanna Geertruij van Beek (1812-). Nog voor het tekenen van de overdrachtsakte overleed Anna Maria in Hamburg waar zij en haar man woonde. Deondanks werd de akte in december 1855 voor notaris Schramm in Hamburg en in januari 1856 voor notaris Fabius te Amsterdam gepasseerd. De naam ‘het Schaapscheeren’ wordt niet meer genoemd en wellicht is ook de gevelsteen in deze tijd verwijderd.
Koopman Hendrik Frederik Zelders (1811-1897) van Herengracht 274 kocht het huis in 1864 voor fl. 14.000,-. Ook hij heeft het slechts korte tijd in bezit. Hendrik was getrouwd met Anna Sophia Schleier (1822-1903).

gevellantaarn

Een volgende eigenaar werd in 1873 IJsbrandina Sophia Overmars (1812-1879), weduwe van Petrus Nicolaas Scholten (1806-1863), logementhoudster, wonende aan de Herengracht 193. Zij betaalde fl. 17.000,- en liet de volgende bepalingen opnemen: er was een recht van uitgang naar de Herengracht via een brandgang naast het pand. De huur bleef doorlopen tot mei 1874 waarbij niet inbegrepen ‘de gasleidingen, als behoorende aan de Hollandsche gasfabrijk, en de aan de Duinwater Maatschappij behoorende aanleg voor duinwater, de spiegels en gasornamenten’. IJsbrandina heeft bij de koop een aantal veranderingen aan het pand laten aanbrengen. Opvallend is dat haar ouders in 1812 bij haar geboorte in dit pand woonden.
In 1880 werd het perceel gekocht door Dirk Wafelbakker (1828-1896), commissionair, van de Keizersgracht 301 en getrouwd met Annetje van der Voorden. Hij betaalde fl. 34.600,- plus fl. 40.- voor de overname van jaloezieën. Het gebeurde op verzoek van Theordorus Jan Scholten (1837-), hotelhouder, wonende in de Kalverstraat 71 in 1867 getrouwd met Johanna Carolina Kaiser (1845-), zoon van Petrus en IJsbrandina Scholten de overleden eigenaar, en Adrianus Anthony van den Toorn (1822?-1911?), particulier, in de P.C.Hooftstraat, getrouwd met Aleida Johanna Tijl (1828-1915). Het wordt niet duidelijk waarom Scholten en Van den Toorn hierom verzoeken.
In 1896 werd het huis opnieuw verkocht omdat de Erven Dirk Wafelbakker geen interesse in het pand hadden. De verkoop vond plaats in veilinghuis Frascati. Laurens van Bakel was de hoogste bieder bij opbod met fl. 25.000,-. Bij het afmijnen kwam er fl. 3500,- bij en ging het huis voor fl. 28.500,- over naar Heinrich Carl Julius Teutenberg (1849-), handelsagent, wonende Willemsparkweg 84 te Nieuwer-Amstel. Hij was gehuwd met Maria Becker. Voor de overname van jaloezieën, spiegels, enz. werd fl. 400,- bepaald.
Het duurt nu 22 jaar voor het huis weer wordt verkocht. In 1918 wordt het onderhands verkocht aan Albert Frederik Wilhelm Daarnhouwer (1882-1949), koopman wonende te Hamburg. Albert Daarnhouwer geeft architect Jac.Duncker opdracht om de kapruimte tot woonverdieping om te bouwen. Hiertoe werd de voorgevel een verdieping hoger gemaakt, de oude gootlijst in ere hersteld en de balustrade naar de situatie van voor 1848 gerestaureerd. De benedenverdiepingen werden verbouwd tot kantoor. In 1928 werd het pand uitgebreid met het naastliggende pakhuis van Herengracht 225.

logo daarnhouwer visitekaart

Albert Frederik Wilhelm Daarnhouwer (1882-?) is de zoon van Jan Daarnhouwer (1842-1890) die in 1871 is gehuwd met Gerritje Bakker (1846-1908). Albert werkte bij de Incasso-Bank, de firma Jurgens (0ss), de Amsterdamsche Bank en de Deutsche Bank. Jurgens vroeg hem in 1905 voor haar bedrijf in Hamburg. In 1908 richtte hij in Hamburg Daarnhouwer & Co. GmbH op. In 1913 keert hij terug naar Jurgens, nu in Goch. Vanwege de oorlog vertrekt hij hier per 1916 en begint in Amsterdam de firma Daarnhouwer & Co. In 1920 volgt een vestiging in New York, 1921 te Parijs, 1922 te Buenos Aires, 1923 in Bahia (Brazilië), in 1924 volgen Londen, Hamburg en Antwerpen, in 1925 Toronto en in 1926 Rotterdam en Wenen. Tegenwoordig (2025) bestaat de firma nog altijd en is nu gevestigd in Zaandam waar ze zich nog altijd bezig houden met de handel in cacao, koffie, peulvruchten en boomnoten, vooral uit Indonesië maar ook Brazilië.
Sinds de oprichting van het bedrijf is het beeld van de Halve Maen altijd een centraal onderdeel van het logo geweest. De Halve Maen was een belangrijk schip in de Nederlandse geschiedenis, vooral in de eerste jaren van de 17de eeuw. Het schip wordt geassocieerd met Henry Hudson, een Engelse ontdekkingsreiziger die in 1609 door de Nederlanders deed hem een rivier ontdekken die later naar hem werd vernoemd, de Hudson Rivier. De ontdekking van de Hudson River was een cruciaal moment in de geschiedenis, omdat het de weg vrijmaakte voor de transatlantische handel die uiteindelijk een belangrijke economische kracht zou worden. De associatie van Halve Maen met deze historische gebeurtenis maakt het tot ons symbool van Nederlandse innovatie, exploratie en handel. Naast de historische betekenis staat de Halve Maen ook symbool voor de relatie tussen Nederland en de Verenigde Staten. De VS is een cruciale handelspartner voor het bedrijf waar veel van de klanten en leveranciers gevestigd zijn.

caspar philips onderpui leipzig sierhek leipzig logo daarnhouwer

Naam: De Cater (1619); Leipzig (1754)
Adres: Herengracht 225
Architect: -; -; Jac.Duncker
Bouwjaar: 1619; 1754; 1928
Opdracht: Cornelis Pietersz Cater; Nicolaas Johannes Bastert; Daarnhouwer & Co

Van het pakhuis aan de Herengracht 225 is bekend dat het in 1617 gekocht werd door Cornelis Pietersz Cater (-<1626?) van Lourens Albertsz. Hij geeft het pand de naam ‘De Cater’.
Nicolaas Johannes Bastert (1711-1765) is in 1754 eigenaar van het terrein en laat het pakhuis verbouwen. Hij geeft het de naam Leipzig en het jaartal 1754 verwerkt boven de ingang in een ijzeren sierhek. Nicolaas Johannes Bastert (1711-1765) is in 1757 gehuwd met Cornelia Toll (1717-1783), weduwe van Nicolaas Paradijs. Zij krijgen een zoon Nicolaas Bastert (1758-1830), in 1779 kanunnik van het kapittel van Sint Pieter te Utrecht. Hij huwde met Jacoba Cornelia Moltzer. Nicolaas Johannes Bastert was koopman in tabak. Cornelia Toll bracht in het huwelijk in de plaisante en vruchtbare hofstede Cromwijck te Maarsseveen met de bijbehorende steenfabriek. Deze hofstede bleef tot 1904 familiebezit.
In 1928 komt het pakhuis in bezit van Albert Frederik Wilhelm Daarnhouwer (1882-1949) van Herengracht 223, die het gaat gebruiken als uitbreiding van de kantoorruimte voor zijn Handelmaatschappij Daarnbouwer & Co. Architect Jac.Duncker ontwerpt de nieuwbouw. Het oude pand wordt afgebroken en een nieuw kantoorgebouw aangepast aan de bestaande hoogte van Herengracht 223. Het sierhek met de tekst ‘17 Leipzig 54’ werd herplaatst.

gevel

Adres: Herengracht 223-225
Architect: Schulze en van Dijk (E.van Dijk)
Bouwjaar: 1996
Opdracht: VvE Herengracht 223-225

Architectenbureau Schulze en van Dijk kreeg in 1996 opdracht van de Vereniging van Eigenaren voor de verbouwing van het kantoorpand tot zeven woningen.

Meer lezen:
Burgemeester
Chirurgijn
Crommelin, Robert Daniël
Duncker, Jacques
Eerste Uitleg
Schulze en van Dijk
Tengnagel, Jan
Tengnagel, Mattheus Gansneb

Voor het laatst bewerkt:

Bronnen:
wikipedia.nl
Amstelodamum 1924 jb21 blz 141-152
Gemeentearchief Amsterdam (akten)
Gebouwd in Amsterdam
De vroedschap van Amsterdam 1578-1795